Uudised ja teated

Leesi küla Leesikalda sadama eskiislahenduse avalik väljapanek

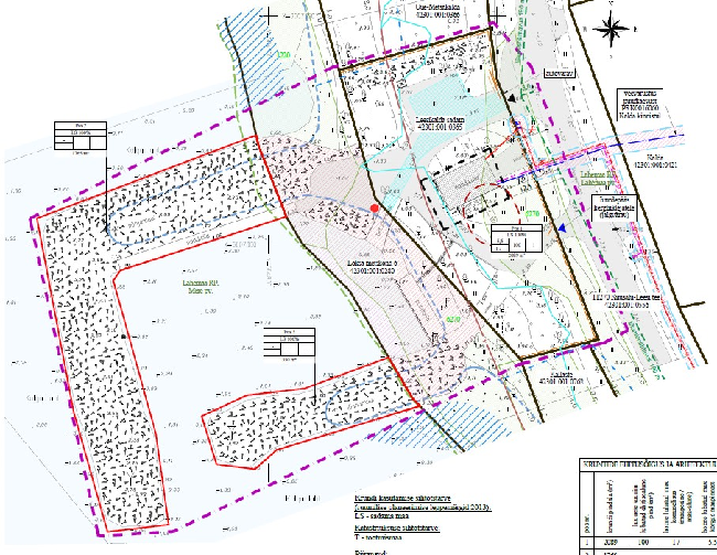
Kuusalu Vallavalitsus teatab, et algatas 27.juunil 2024 korraldusega nr 187 Leesi küla Leesikalda sadama kinnistu (42301:001:0365) detailplaneeringu ja kinnitas lähteülesande. Detailplaneeringu eskiismaterjalidega saab tutvuda alates 17.novembrist kuni 26.novembrini 2025.a. käesolevas postituses ja eelneval kokkuleppel Kuusalu vallamajas kohapeal. Eelpool nimetatud ajani saab esitada eskiislahendusele omapoolseid ettepanekuid/vastuväiteid aadressile vallavalitsus@kuusalu.ee.
 

Vastavalt eskiislahendusele soovitakse muuta alal kehtiva detailplaneeringuga määratud ehitusõigust. Ehitusõigust soovitakse olemasolevate muulide ning akvatooriumi ehitusõiguse suurendamiseks selleks, et muuta sadam tormikindlamaks. Samuti soovitakse ehitusõigust olemasoleva paadikuuri suurendamiseks (kuni 70 m2). 

Kuusalu Vallavalitsuse 08.09.2022 korraldusega nr 432 on määratud Kalda kinnistu uueks koha-aadressiks Leesikalda sadam. Leesi küla Leesikalda sadama kinnistu asub Lahemaa rahvuspargis, Lahemaa piiranguvööndis. 

Kuusalu Vallavolikogu 17.06.2015 otsusega nr 31 on kehtestatud Leesi küla Kalda kinnistu detailplaneering. Kuna kehtiva Loksa valla üldplaneeringuga ei kavandanud antud asukohta sadamat, siis on kehtestatud detailplaneeringut menetletud üldplaneeringut muutvana. Kehtestatud detailplaneeringuga on määratud hoonestusala paadikuuri rajamiseks, tuletõrjeautode ümberkeeramise plats, slipp ning muule ümbritsev krunt (389 m2). Juurdepääs planeeritavale alale on tagatud avaliku kasutusega Kuusalu-Leesi teelt.

Leesikalda sadam kinnistul asub vastavalt ehitisregistri andmetele tuletõrje veevõtu koht ning paadikuur. Alale on rajatud paadikuur, tuletõrje veevõtu koht koos ümberkeeramise alaga ning muulid ja slipp. Tegevuste ulatus väljub kehtestatud detailplaneeringuga määratust, seega on menetluses olev detailplaneering vajalik olemasolevate ehitiste seadustamise võimalikkuse väljaselgitamiseks ning uute ehitusõiguste määramiseks.

Kuna kehtestatud detailplaneeringuga on üldplaneeringut muudetud, alale on kavandatud ehitusõigus sadamarajatiste rajamiseks, siis menetletakse käesolevat detailplaneeringut üldplaneeringule vastavana. 

Lisainfo tel 606 6379 või e-post kadi.raudla@kuusalu.ee.